Tin đăng đã hết hạn.

Bấm tiếp tục xem tin để hiển thị, hoặc tìm kiếm tin đăng tương tự mới nhất dành cho bạn!

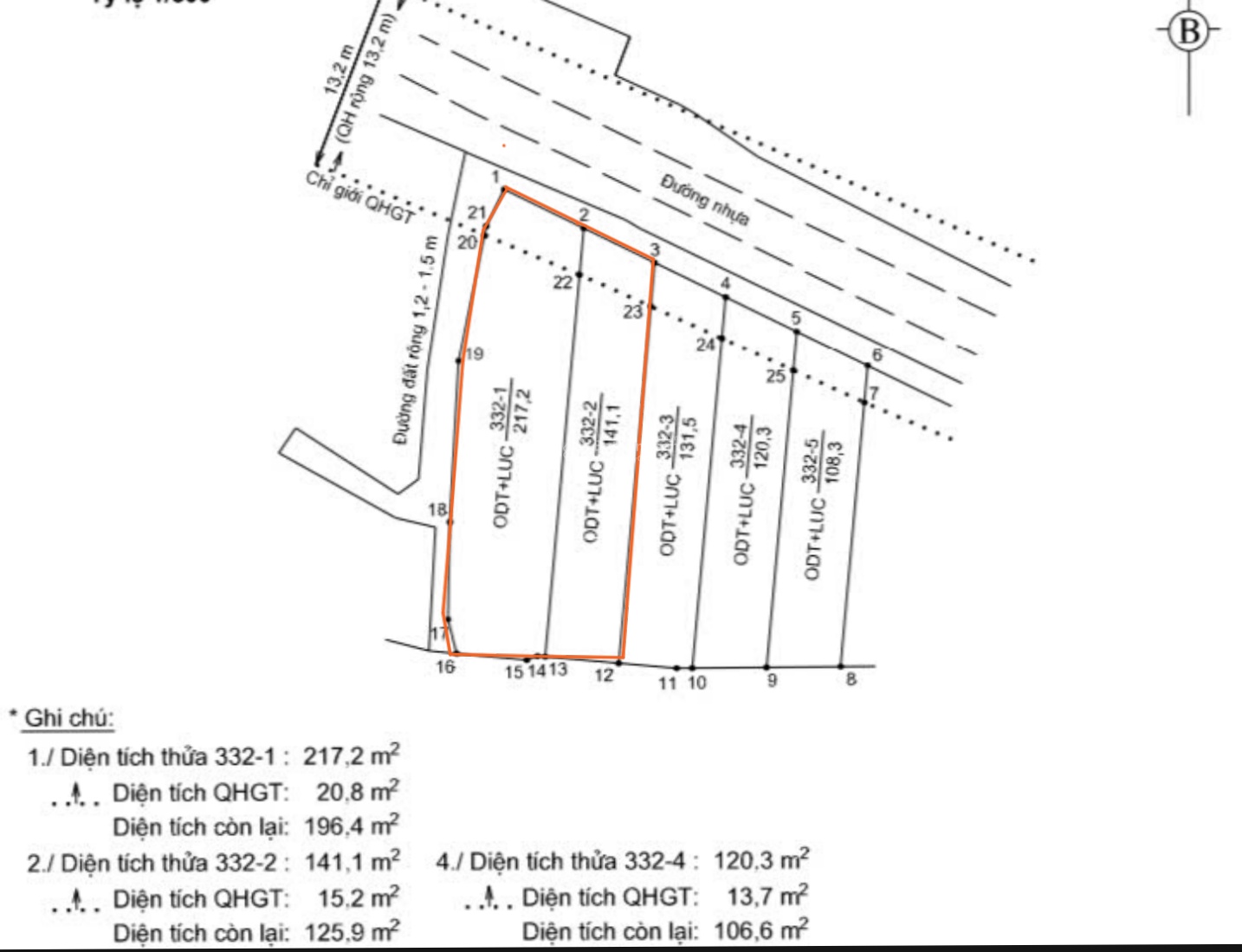
Bán đất Full thổ cư, T.Tâm thị xã Ninh Hòa, ngay Quảng trường 2/4, đg rộng 9m, 125.9m2(5x25),2,9 tỷ

Ngày đăng: 12/01/2026

6
Trung bình
ảnh
ảnh
ảnh
Hình ảnh 1/3
ảnh
ảnh
ảnh
Mô tả tin đăng

Cần bán lô đất đẹp ngay trung tâm thị xã Ninh Hòa( nay thuộc Phường Ninh Hòa), đường hiện trạng rộng 9m, quy hoạch 13m, đất full thổ cư DT 141,1m2, sau quy hoạch còn 125,9m2, ngang 5m, sâu 25m Hướng Đông Bắc Giá bán 2,9 tỷ có thương lượng ------------------------- Ngoài ra quý khách có thể mua hai lô 1 lô góc và 1 lô thường, tổng diện tích là 358,3m2 sau quy hoạch là 322,3m2, ngang 11m, full thổ cư bám đường 9m và đường 3m Giá bán 7 tỷ

Xem thêm

Liên hệ:

090 557 ****
Thông tin chi tiết
Mặt tiền 5m
Ưu điểm BĐS Căn góc

Vị trí bản đồ

Tiếp tục xem tin
* Lưu ý: Bài viết Bán đất Full thổ cư, T.Tâm thị xã Ninh Hòa, ngay Quảng trường 2/4, đg rộng 9m, 125.9m2(5x25),2,9 tỷ - là do người đăng tin đăng tải và chịu trách nhiệm. Meeyland.com không đảm bảo và không chịu trách nhiệm về bất kỳ thông tin, nội dung nào liên quan tới tin rao này. Trường hợp phát hiện nội dung tin đăng không chính xác, Quý vị hãy thông báo và cung cấp thông tin cho Ban quản trị Meeyland.com theo số Hotline 0869092929 để được hỗ trợ nhanh chóng và kịp thời nhất.