Bán nhanh căn mezza 2 tầng đặc biệt tại ecopark, giá tốt nhất thị trường

Ngày đăng: 23/01/2026

4.8
Cơ bản
ảnh
ảnh
ảnh
ảnh
ảnh
ảnh
ảnh
Hình ảnh 1/7
ảnh
ảnh
ảnh
ảnh
ảnh
ảnh
ảnh
Mô tả tin đăng

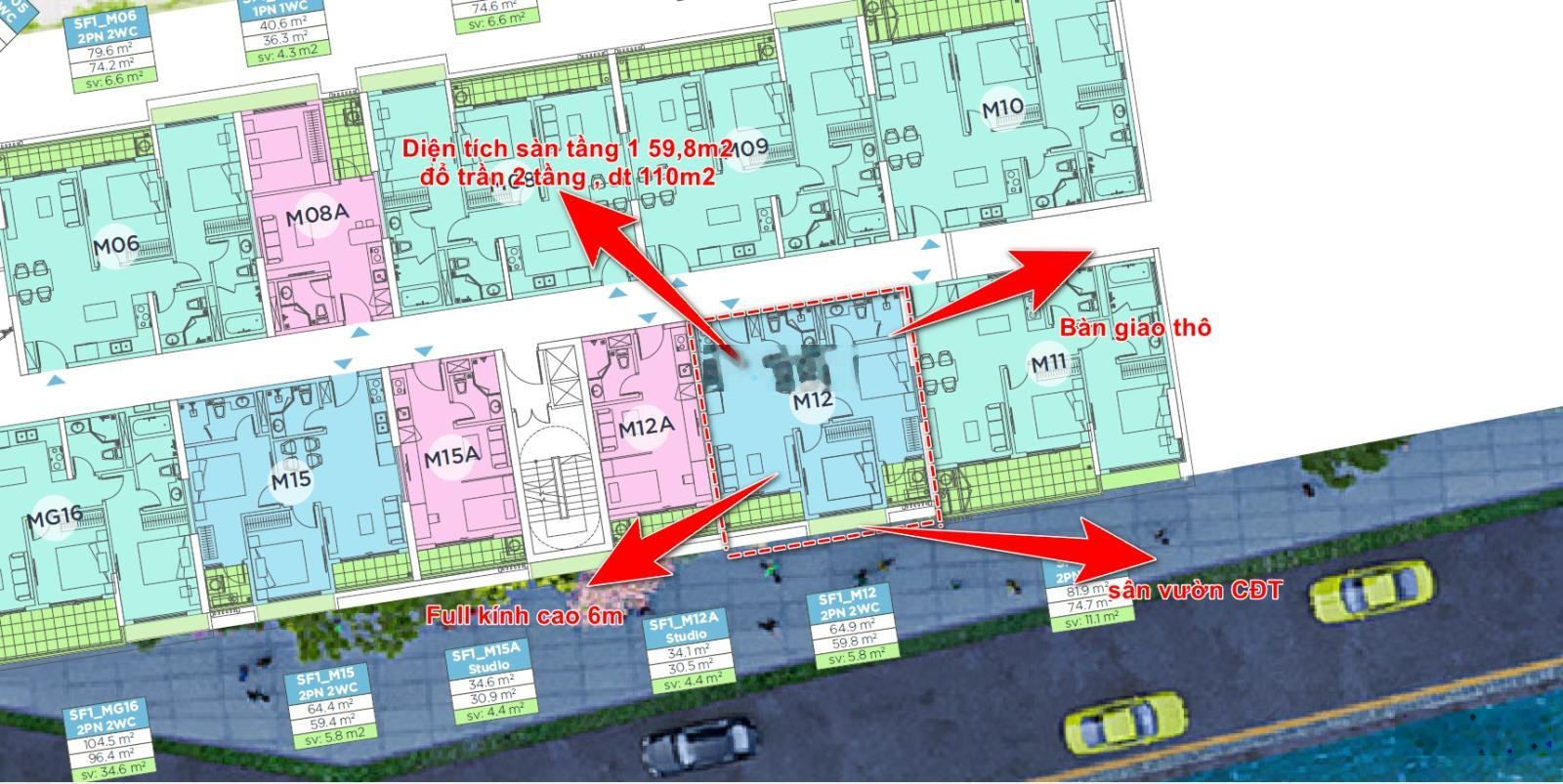
- Em cảm ơn anh chị đã đọc tin của em Quỳnh, em Quỳnh chuyên viên bất động sản phía Đông Hà Nội, để được hỗ trợ thông tin nhanh nhất, anh chị vui lòng liên hệ số điện thoại 0392981326 - Chủ nhà thiện chí bán căn Mezza làm được 2 tầng tại tòa SF1- Ecopark + Bàn giao thô nguyên bản chủ đầu tư, phù hợp với các bác thích thiết kế không gian theo đúng ý mình + Trần cao 6m, full kính + Tầng 1 diện tích 59,4m2 , đổ trần tăng diện tích sử dụng lên tới 110m2 + Chia không gian sinh hoạt chung và phòn ngủ riêng biệt + Nhà hướng Nam, quanh năm mát mẻ và ấm áp - Đặc biệt, mức giá chủ nhà thiện chí bán chỉ bằng mua căn chung cư 2 ngủ - Anh chị cần xem nhà thì liên hệ em ạ 0392981326

Xem thêm

Liên hệ:

039 298 ****
Thông tin chi tiết
Hướng ban công Nam

Vị trí bản đồ

Giá thương lượng

110 m²
Thông tin của bất động sản
Loại BĐS
Căn hộ chung cư
Hướng
Nam
Địa chỉ
Sky Forest Residences Ecopark, X. Xuân Quan, H. Văn Giang, T. Hưng Yên
QN

Quỳnh Nguyễn

Môi giới

* Lưu ý: Bài viết Bán nhanh căn mezza 2 tầng đặc biệt tại ecopark, giá tốt nhất thị trường - là do người đăng tin đăng tải và chịu trách nhiệm. Meeyland.com không đảm bảo và không chịu trách nhiệm về bất kỳ thông tin, nội dung nào liên quan tới tin rao này. Trường hợp phát hiện nội dung tin đăng không chính xác, Quý vị hãy thông báo và cung cấp thông tin cho Ban quản trị Meeyland.com theo số Hotline 0869092929 để được hỗ trợ nhanh chóng và kịp thời nhất.