Cần bán lô đất hẻm 6m đường Nguyễn tuyển phường bình trưng Tây Q2 cũ

Ngày đăng: 12/01/2026

5.9
Trung bình
ảnh
ảnh
ảnh
ảnh
ảnh
ảnh
ảnh
ảnh
ảnh
ảnh
ảnh
ảnh
ảnh
ảnh
ảnh
ảnh
ảnh
ảnh
ảnh
Hình ảnh 1/19
ảnh
ảnh
ảnh
ảnh
ảnh
ảnh
ảnh
ảnh
ảnh
ảnh
ảnh
ảnh
ảnh
ảnh
ảnh
ảnh
ảnh
ảnh
ảnh
Mô tả tin đăng

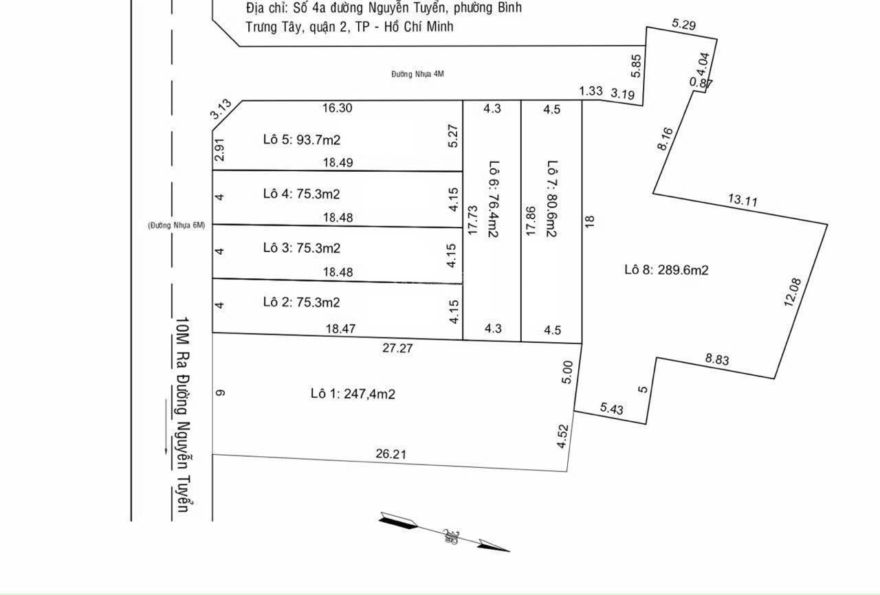
Cần bán nhanh lô đất đẹp hướng nam đông nam vị trí đẹp hẻm rộng 6m của đường Nguyễn Tuyển cách Nguyễn duy vào 50m phường bình trưng Tây Q2 cũ, dt 75,3m2 đầu 4m đuôi 4,15m dài 18,47m đã có sẵn sổ Hồng riêng giá chào 8,2 Tỷ TL. Giá bán nhanh 8 Tỷ. Cần bán bán lô đất góc 2mt đường Nguyễn Tuyển phường bình trưng Tây Q2 cũ. Dt 75m2 đầu 4,8m đuôi nở hậu 6,3m dài 13m không bị lộ giới. giá bán 9,4 Tỷ. Ace có nhu cầu mua sử dụng LH khoa xem đất liền 0918439648/0918439648

Xem thêm

Liên hệ:

091 843 ****
Thông tin chi tiết
Mặt tiền 4m
Ưu điểm BĐS Đất vuông - nở hậu

Vị trí bản đồ

* Lưu ý: Bài viết Cần bán lô đất hẻm 6m đường Nguyễn tuyển phường bình trưng Tây Q2 cũ - là do người đăng tin đăng tải và chịu trách nhiệm. Meeyland.com không đảm bảo và không chịu trách nhiệm về bất kỳ thông tin, nội dung nào liên quan tới tin rao này. Trường hợp phát hiện nội dung tin đăng không chính xác, Quý vị hãy thông báo và cung cấp thông tin cho Ban quản trị Meeyland.com theo số Hotline 0869092929 để được hỗ trợ nhanh chóng và kịp thời nhất.