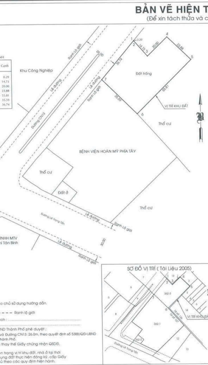
M&A DA Bệnh Viện Hoàn Mỹ Phía Tây, 2MT 512 Lê Trọng Tấn P. Tây Thạnh, Tân Phú HCM

Ngày đăng: 18/03/2026

5
Trung bình
ảnh
ảnh
ảnh
ảnh
ảnh
Hình ảnh 1/5
ảnh
ảnh
ảnh
ảnh
ảnh
Mô tả tin đăng

Rất Nhiều tiền: Hạ 950 Tỷ Về 800 Tỷ (CMTC 50%) M&A DA Bệnh Viện Hoàn Mỹ Phía Tây, 2MT 512 Lê Trọng Tấn P. Tây Thạnh, Tân Phú HCM DTCN: 7,152.4m2 HT: đang thi công phần hầm CN: 350 giường (có thể lên 490 giường) Chỉ tiếp NĐT CMTC 50% Giá: 800 Tỷ 5,000 đất sau: 100 Tỷ 0977040538 Minh Vương

Xem thêm

Liên hệ:

097 704 ****
Thông tin chi tiết
Mặt tiền 50m

Vị trí bản đồ

800 tỷ

7.152 m²
111,86 triệu/m²
Thông tin của bất động sản
Giấy CN QSDĐ - Sổ đỏ - Sổ hồng
Loại BĐS
Đất
Địa chỉ
P. Lê Trọng Tấn, P. Tây Thạnh, Q. Tân Phú, Tp. Hồ Chí Minh
MV

Minh Vương

Môi giới

* Lưu ý: Bài viết M&A DA Bệnh Viện Hoàn Mỹ Phía Tây, 2MT 512 Lê Trọng Tấn P. Tây Thạnh, Tân Phú HCM - là do người đăng tin đăng tải và chịu trách nhiệm. Meeyland.com không đảm bảo và không chịu trách nhiệm về bất kỳ thông tin, nội dung nào liên quan tới tin rao này. Trường hợp phát hiện nội dung tin đăng không chính xác, Quý vị hãy thông báo và cung cấp thông tin cho Ban quản trị Meeyland.com theo số Hotline 0869092929 để được hỗ trợ nhanh chóng và kịp thời nhất.