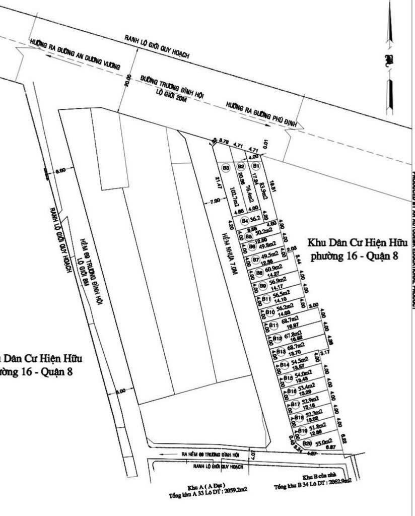
Khu đất phân lô - 54m2 - mặt tiền đường Trương Đình Hội - An Dương Vương

Ngày đăng: 14/01/2026

5.4
Trung bình
ảnh
ảnh
ảnh
ảnh
Hình ảnh 1/4
ảnh
ảnh
ảnh
ảnh
Mô tả tin đăng

- Diện tích: 4*13m. - Đất mặt tiền đường phân lô được xây dựng cao tầng. Thích hợp xây mới theo ý muốn. - Ngay khu dân cư cao cấp góc đường Trương Đình Hội - An Dương Vương. - Khu vực trung tâm thuận tiện đi Quận 6, Bình Tân bình chánh. Vị trí thuận tiện đi vào trung tâm và các quận vùng ven. - Sổ hồng riêng.

Xem thêm

Liên hệ:

094 163 ****
Thông tin chi tiết
Mặt tiền 4m
Ưu điểm BĐS Xây mới, Phân lô liền kề

Vị trí bản đồ

* Lưu ý: Bài viết Khu đất phân lô - 54m2 - mặt tiền đường Trương Đình Hội - An Dương Vương - là do người đăng tin đăng tải và chịu trách nhiệm. Meeyland.com không đảm bảo và không chịu trách nhiệm về bất kỳ thông tin, nội dung nào liên quan tới tin rao này. Trường hợp phát hiện nội dung tin đăng không chính xác, Quý vị hãy thông báo và cung cấp thông tin cho Ban quản trị Meeyland.com theo số Hotline 0869092929 để được hỗ trợ nhanh chóng và kịp thời nhất.