Bán nốt nghỉ tết 3 lô 85m2 (góc đường 24m) - 117m2 (mặt vành đai 3.5) - 145m2 nút giao Trịnh Văn Bô

Ngày đăng: 03/02/2026

5.1
Trung bình
ảnh
ảnh
ảnh
ảnh
ảnh
ảnh
ảnh
ảnh
ảnh
Hình ảnh 1/9
ảnh
ảnh
ảnh
ảnh
ảnh
ảnh
ảnh
ảnh
ảnh
Mô tả tin đăng

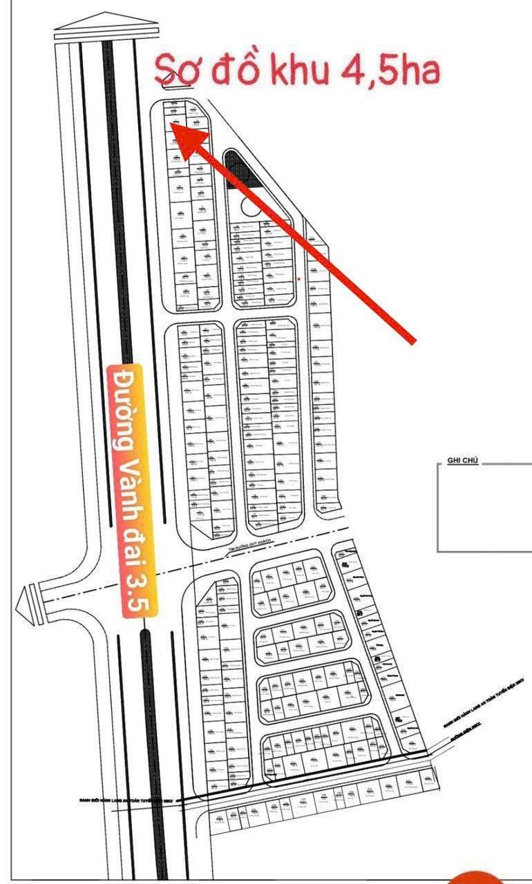
Chính chủ gửi em bán 3 lô đất rất đẹp, cụ thể như sau: Lô góc 85m2, mặt đường 24m, cạnh vườn hoa. Lô số 1284 Khu 25ha, vỉa hè 5m, đường kinh doanh sầm uất. Giá 230 tr/m2 Lô 11 mặt đường Vành Đai 3.5 - Diện tích: 117.5m2 - mặt tiền: 9.42m - Mặt đường Vành Đai 3.5, ngã tư giao đường Vân Canh Lại Yên. Sát KĐT Vườn Cam, An Lạc. Vị trí kinh doanh đắc địa bậc nhất phía tây. Đón đầu hạ tầng chuẩn bị thông đường - Giá bán: 310 triệu /m [ 145m2, mặt tiền 12.1m ] Khu 1,77ha sát nút giao Trịnh Văn Bô giao Vành đai 3.5 Địa chỉ cực đẹp, kinh doanh khách sạn, văn phòng... Đường nội bộ 10m, hè 2m. Giá 169 tr/m2. Giá cả có tl thêm, mời anh chị qua xem rồi em sẽ kết nối ạ, thuận mua vừa bán. lh 0978848528 em Tuyên.

Xem thêm

Liên hệ:

097 884 ****
Thông tin chi tiết
Mặt tiền 10m
Ưu điểm BĐS Căn góc

Vị trí bản đồ

* Lưu ý: Bài viết Bán nốt nghỉ tết 3 lô 85m2 (góc đường 24m) - 117m2 (mặt vành đai 3.5) - 145m2 nút giao Trịnh Văn Bô - là do người đăng tin đăng tải và chịu trách nhiệm. Meeyland.com không đảm bảo và không chịu trách nhiệm về bất kỳ thông tin, nội dung nào liên quan tới tin rao này. Trường hợp phát hiện nội dung tin đăng không chính xác, Quý vị hãy thông báo và cung cấp thông tin cho Ban quản trị Meeyland.com theo số Hotline 0869092929 để được hỗ trợ nhanh chóng và kịp thời nhất.